Introduzione

Descrittore : Fowler & Bean, 1928

Pomacentrus reidi è un pesce che vive in Acqua di mare.

Questa scheda è in fase di realizzazione. I testi attualmente proposti provengono dal nostro modello di dati o sono in fase di redazione. Per richiedere priorità per questo contenuto, puoi scriverci QUI.

Chi è ?

Morfologia

  • Dimensione media
    7 cm
  • Dimensione massima
    9 cm
  • Dimensione media
    7 cm
  • Dimensione massima
    9 cm

Come riconoscere Questo pesce ?

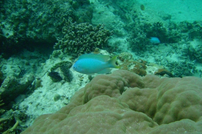
Pomacentrus reidi misura tra 7 e 9 cm. È unicolore con un corpo principalmente grigio.

Modalità di vita & Comportamento

  • dieta
    carnivoro
  • Sociabilità
    solitario
  • territoriale
    No
  • Modalità di vita
    Diurno

Pomacentrus reidi è un pesce solitario. È una specie carnivoro dal temperamento piuttosto vivace.

Nonostante Pomacentrus reidi non sia territoriale, può mostrare segni di aggressività verso altre specie .

Riproduzione

  • Modalità di riproduzione
    ovipare

Pomacentrus reidi è un pesce ovipare.

Specie inoffensiva

Questa specie non rappresenta alcun pericolo particolare per l'uomo quando viene incontrata nel suo ambiente naturale.

Origine e distribuzione

Stato di conservazione delle popolazioni (IUCN)

Mondo : LC

Qual è il suo habitat?

Caratteristiche dell'habitat naturale

  • Temperatura
    26 - 29 °C
  • Profondità
    1 - 70 m

Presentazione dell'habitat

Si trova più comunemente Pomacentrus reidi a una profondità compresa tra 1 metri e 70 metri. Tuttavia, non è impossibile trovare questa specie a diverse profondità.

Specie dello stesso biotopo

Per saperne di più

Specie della stessa famiglia

Specie dello stesso genere

Leggi online

Fonti & Realizzazione

Partecipazione e Validazione

Il team Fishipedia e i collaboratori specializzati si impegnano a fornire contenuti di alta qualità. Tuttavia, sebbene le informazioni provengano da fonti scientifiche o testimonianze di specialisti, i file possono contenere inesattezze.

Adrien Falzon

Adrien Falzon

Traduzione

Traduzione realizzata con il prezioso contributo dei nostri traduttori, che rendono queste informazioni accessibili a un pubblico più ampio. Li ringraziamo calorosamente per il loro impegno.

Interagisci con Fishipedia

Per contattare il nostro team o partecipare il nostro progetto.

Modello di scheda e contenuto © Fishipedia - Riproduzione non autorizzata senza richiesta preventiva - ISSN 2270-7247 - Ultimo aggiornamento il 20/08/2024

Partner scientifici

Specie della stessa famiglia

Specie dello stesso genere

Specie dello stesso biotopo

  • {{name}}

    {{#street_number}}{{street_number}}, {{/street_number}}{{#route}}{{route}}{{/route}}
    {{postal_code}} {{town}}

    {{#phone}}{{phone}}{{/phone}}{{^phone}}-{{/phone}}